Jeanne d'Arc au château de Rouen
Proposé par Bernard Orlianges
C’est une lettre récemment découverte (aimablement communiquée par M. Paul B..., mémoire de Pulligny), datée du 15 Novembre 1971 et adressée au Maire et au Curé de Pulligny sur Madon (Meurthe et Moselle) par M. Gabriel R... (37130 ) qui est à l’origine de cette brève étude.
Informé de la présence de la sépulture de Jeanne dans l’église de Pulligny, M. R… avait choisi de s’adresser à ces deux personnalités du village pour tenter d’en apprendre plus sur le devenir de Jeanne après sa détention au château de Rouen. Dans sa longue missive, il établissait un lien entre la fuite par un souterrain du donjon de Rouen, en Juin 1944, de gestapistes pourchassés par les FFI et la possible exfiltration de Jeanne par le même chemin le matin du supplice.
La mini enquête personnelle et les réflexions qui suivent concernent le château royal de Rouen et les divers moyens qui pouvaient permettre à Jeanne de quitter discrètement sa prison sous la conduite de ses gardes, quelques minutes avant le départ pour la Place du Vieux marché où était dressé le bûcher.
La question peut paraître décalée au regard du drame qui se jouait ce matin du 30 Mai 1431, mais devant la quantité d’écrits et de preuves accumulés, la survie de Jeanne, épargnée du bûcher à l’issue du procès ne fait plus guère de doute pour les historiens non "légendistes".
1. Le double jeu de l’évêque Pierre Cauchon.
Les acteurs du "procès" de Jeanne
C’est une anecdote rapportée par les témoins d’alors, un fait d’apparence anodine, qui allait décider de la survie de Jeanne : "l’entrevue" organisée par l’évêque Cauchon, le 30 Mai 1431 au moment du départ pour le supplice. C’est lors de cet aparté discret entre Jeanne et l’évêque, attesté par tous les chroniqueurs du procès, que Jeanne a pu être soustraite à ses bourreaux et remplacée in extremis par une "sorcière ordinaire".
Tout au long du procès de Jeanne qui se déroulait à l’intérieur du château de Rouen, l’évêque Pierre Cauchon aura joué le rôle d’accusateur, mais en marge du procès, sa conduite paraît plus nuancée. Ordonnateur du dit procès, l’ambitieux évêque de Beauvais s’appuyait certainement sur ses convictions intimes, mais il devait tenir compte des directives données en coulisse par le chef du camp qu’il avait choisi de défendre, celui des Anglais. Le régent Bedford était soumis aux pressions des soutiens de Jeanne et il n’y était pas resté insensible.
Pour sa part, Jeanne, tenue par ses engagements refusera farouchement tout au long du procès de révéler les secrets de sa naissance et de sa mission à ses accusateurs.
Malgré son obstination constante à se montrer telle qu’elle était, chrétienne et patriote indomptable, la première sentence rendue par l’église l’excommuniait et la condamnait au supplice.
Pour venir à bout de la résistance de la courageuse Jeanne, Cauchon allait organiser le 24 Mai une mise en scène hors procès. Jeanne fut placée sur un bûcher dressé dans le cimetière face à l’église Saint Ouen, afin de créer la situation dramatique qui allait la contraindre à abjurer ses "fautes". Elle y fut "admonestée" en présence de juges de l’église anglais et français. Contre sa volonté, mais convaincue par les arguments de l’évêque, Jeanne s’engagea alors publiquement à ne plus s’habiller ni se coiffer en homme.
Dès l’après-midi les juges abrogeaient l’excommunication et condamnaient "seulement" Jeanne à de la prison et au pain de douleur.
Sursis provisoire pour Jeanne, car ce fut alors un tollé et la révolte chez les Anglais, avec un grand risque de débordement puisque Jeanne était maintenue en prison sur place par ceux qui exigeaient sa mort.
Et le pire se produisit effectivement! 1
Durant les jours qui allaient suivre, on raserait la tête de Jeanne à l’écuelle et l’on retirerait de la chambre-prison où elle était ferrée par les pieds tous ses habits féminins, ne lui laissant pour seul vêtement qu’un habit d’homme. Suivrait alors une entrevue provoquée où Jeanne ne pourrait se montrer aux juges de l’église qu’habillée et coiffée en homme.
Cette machination que les minutes du procès ont consignée sous le vocable religieux de "constat de relapse" eut lieu le 28 Mai. Elle allait conduire à un second procès éclair pour parjure puis à une "inévitable" condamnation à mort par l’église pour "être retournée dans son maléfice" 2 ou relapse. Pour la seconde fois, Jeanne fut condamnée à mourir sur le bûcher !
C’est alors que l’évêque de Beauvais allait organiser cet ultime plan risqué, avec la complicité du régent Bedford et du gouverneur anglais Warwick. Il sauverait Jeanne en lui substituant au dernier moment l’une de ces pauvres femmes déjà condamnée pour "sorcellerie", une de celles que l’église brûlait par centaines chaque année. Ensuite il remettrait Jeanne à Bedford selon leur accord. Ainsi Jeanne serait-elle définitivement morte pour ses ennemis anglais, bourguignons et théologiens parisiens, mais sauvée pour elle-même, pour sa famille royale, pour ses appuis franciscains… et pour le peuple fidèle à la France à qui l’on allait cacher ce dénouement.
***
L’évêque de Beauvais avait besoin de l’assistance des Anglais pour préparer ce subterfuge et c’est évidemment de connivence avec leurs chefs qu’il fut organisé, à l’insu des subalternes.
Sous le prétexte de préparer la suppliciée, les autorités avaient "arrangé" un ultime aparté sans témoin afin de disposer d’un sas de substitution et d’un chemin de repli pour Jeanne et ses gardes. Il suffisait de peu de temps pour détourner Jeanne en route vers le bûcher et la remplacer par une "sorcière" en attente de bûcher, embronchée 3 et droguée pour la circonstance.
Quelques minutes plus tard l’évêque Cauchon remettait aux tortionnaires une victime restée anonyme, une femme méconnaissable portant d’infamants écriteaux, le visage couvert d’un voile, la tête engoncée jusqu’au nez dans une mitre ridicule et certainement ignorante de la supercherie dont elle était l’objet, convaincue qu’il s’agissait de l’exécution de la sentence la concernant.
Les hommes de confiance impliqués dans l’opération allaient ensuite remettre l’héroïque Jeanne aux gardes du régent. Jeanne sera maintenue prisonnière jusqu’au traité d’Arras et à la mort du régent Bedford, deux événements qui interviendront au mois de Septembre 1435.
La substitution effectuée avec succès, nous arrivons à la question, objet de cette étude : par quel moyen Jeanne a-t-elle pu quitter incognito sa tour-prison ?
2. Le château royal de Rouen à l’époque du procès
La scène du drame
Si la solution médiévale et très romantique de l’exfiltration de Jeanne par un souterrain rencontre la faveur d’une majorité, il y avait d’autres scénarios moins romanesques certes, mais bien plus aisés à mettre en œuvre ! Pour se faire un avis, il faut "rebâtir" le château tel qu’il devait être en 1431, dans son environnement de l’époque.
Édifié sur une butte, en lisière de la ville de Rouen qui s’étendait au Sud, vers la Seine, le château de Rouen était protégé par des fossés secs. Il avait été construit en 1204 à l’initiative de Philippe Auguste sur la colline de Bouvreuil, là où se dressaient les ruines d’un amphithéâtre gallo-romain.
C’est en 1418 que les Anglais vont s’emparer de la ville de Rouen et du château royal. De 1419 à 1421, ils engageront de profondes modifications des défenses extérieures et des aménagements intérieurs.
On ne dispose d’aucune représentation du château qui ait été réalisée au moment du procès de Jeanne. Les deux dessins ci- après sont des représentations tardives d’un château de Rouen déjà modifié après le départ des Anglais en 1449.

Gravure du château tel qu’il devait être en 1525. (D’après Jacques Le Lieur)

Eau-forte de Melle Langlois : le Château vers 1525 (Reconstitution d’après J. Le Lieur)
Le château tel qu'il devait être en 1431
Plusieurs représentations tardives et de multiples descriptions de l’époque donnaient une idée approximative du château tel qu’il devait être en 1431, mais ce sont les fouilles archéologiques entreprises depuis le XIXème siècle qui ont permis de retracer son emprise.
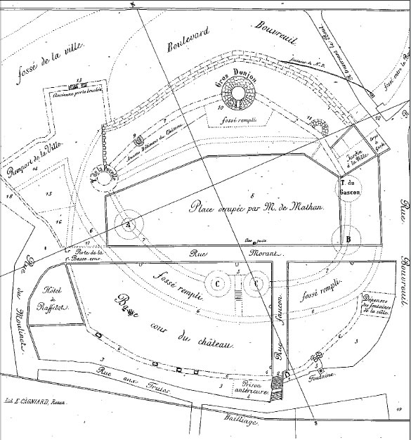
Avant d’étudier le plan très précis de l’archéologue Dominique Pitte (ingénieur au Service régional de l'Archéologie), établi en 1984, examinons le dessin donné pour information:

Plan établi en 1635 d’après un parchemin ancien.
Réalisé en 1635 d’après un croquis ancien, ce plan non coté montre approximativement le château tel qu’il pouvait être à la fin du XVème siècle.
On y voit très bien au nord les restes d’une tour carrée édifiée par les anglais entre 1419 et 1421. Il ne subsistait alors de la tour que les murs extérieurs formant remparts. La porte Nord, construite par les anglais (13) avait été murée.
Le repère (9) signale une "fausse porte bouchée par laquelle on descendait dans les fossés". Ce pourrait être une ancienne porte conduisant aux fossés derrière le donjon, du côté de la Bayle ou Baille dont il est fait mention dans plusieurs textes. Cette porte, située au niveau des bâtiments d’habitation construits pour le régent, ne devait plus exister à l’époque de l’occupation anglaise et du procès.
Le repère (10) signale "un escalier dans l’épaisseur des murs du Gros donjon". La tour (A) est la tour "devers Saint Patrice", la tour (B) est celle "du Beffroi", et (C) les "deux tours de la porte vers la ville".
D’autres plans ont été dressés, comme l’esquisse proposée par l’architecte André Robinne, sur laquelle figure également la tour carrée, mais c’est l’épure très précise réalisée en 1984 par Dominique Pitte que nous allons utiliser. Réalisée d’après ses travaux de déchiffrage du "Livre de pierre", elle s’appuie sur les recherches archéologiques indiscutables qui ont permis de retracer avec précision les fondations des bâtiments, des murailles et de la tour carrée tels qu’ils étaient en 1431.

Dessin réalisé d’après le plan de M. Dominique Pitte (1984)
Les rues actuelles, dont les percements ont mis au jour des vestiges du château et permis d’établir les dimensions réelles des anciennes constructions, figurent en pointillé .
La tour carrée (A), construite par les anglais vers 1419-1421 existait à l’époque de Jeanne. Elle a été détruite à la fin du XVème siècle. La porte devers les Champs (E), qui existait également à l’époque de la captivité de Jeanne a été ajoutée sur le plan. En haut à gauche, on voit l’emprise de la Tour de la Pucelle (B) dont les soubassements ont été dégagés en 1908 au 102, rue Jeanne d’Arc.
***
C'est dans divers endroits de ce château que se déroula le procès de Jeanne.
La première séance publique eut lieu dans la chapelle royale du château, près des tours sud. D’autres séances publiques se déroulèrent dans la salle dite de parement (P) qui faisait partie des appartements royaux et les séances en comité restreint eurent lieu dans la tour-prison de Jeanne (B).
L’Héroïne fut conduite une seule fois par ses juges dans le donjon (D) où on la menaça de torture mais c'est dans cette autre tour, aujourd'hui disparue (B), la tour "du côté de la porte de derrière" 4 , renommée plus tard "Tour de la Pucelle" qu'elle fut enfermée.
Protégé par des fossés secs, le château disposait en 1431 de trois issues connues: une entrée principale (C) donnant sur la ville, située au sud entre deux tours et contrôlée par un pont levis, une issue secondaire "de service" dite "porte devers les champs" (E) complétée d’un passage au dessus du fossé jusqu’au terre-plein qui portait un petit ouvrage sécurisant l’issue. Enfin, une troisième porte "privative" (F) la "porte de derrière" ou "porte des Anglais" était insérée dans une tour de défense carrée à pont-levis qui ouvrait vers la campagne boisée au nord-ouest.
Située près de la tour prison de Jeanne, cette "tour carrée" avait été construite par les anglais peu après leur conquête de Rouen en 1418. Elle commandait une discrète sortie qui permettait aux notables anglais de quitter le château en évitant la ville…et la population rouennaise. Elle avait pour autre objet de constituer une sortie de secours en cas de besoin.
La tour carrée et sa porte étaient situées près des appartements du régent construits eux aussi par les Anglais entre 1419 et 1421. Le Duc de Bedford, régent du royaume et le duc de Warwick, gouverneur du château, habitaient ces appartements en 1431. C’est un second ensemble, aménagé à gauche du donjon coté est, qui servira d’appartements royaux à Henri V, mort en Août 1422 puis à son fils le très jeune Henri VI.
Nous avons maintenant une idée assez précise du château tel que Jeanne l’a connu pour aller plus avant dans notre recherche.
3. Le Livre de pierre
Au cours du XIXème et du XXème siècle, Rouen a connu d’importants travaux d’urbanisation. Des quartiers entiers ont été rasés pour permettre l’ouverture de voies nouvelles ainsi que l’édification d’autres bâtiments et d’aménagements urbains : création de la gare Martainville en 1867 ; création du réseau d’égouts collecteurs en 1876 ; construction des lignes de tramway en 1877 et en 1896 ; infrastructure du port fluvial en 1885. Des ponts ont été construits, de grandes artères, comme la rue Jeanne d’Arc ou la rue Thiers, ont été ouvertes à partir de 1861-1862, les rues Saint Vivien et Saint Hilaire en 1869, la rue du Donjon en 1907. Une troisième gare dite de l’Ouest ou Gare Rive Droite, inaugurée en 1928, sera créée en haut de la rue Jeanne d’Arc à proximité immédiate de l’emprise du château. C’est à l’occasion de ces grands travaux d’urbanisme que les recherches archéologiques ont permis de préciser les emprises des édifices disparus.
Le château de Rouen avait été définitivement démantelé en 1591 par ordre de Henri IV et la tour du donjon, seul "vestige" du château , a été reconstruite de 1866 à 1874 par l’architecte Desmarest sous la conduite de Violet le Duc. Après le percement de la rue du Donjon en 1907 et la destruction de l’ancien hôtel Mathan, situé en face, le donjon sera à peu près dans la situation où on le voit aujourd’hui. Il prendra alors le nom de "Tour Jeanne d’Arc", bien qu’il ne s’agisse nullement de la Tour de la Pucelle où Jeanne fut prisonnière.
Tout au long de ces travaux, de nombreux conduits souterrains et canalisations qui sillonnaient le sous-sol de la ville ont été redécouverts ou réhabilités. Si l’on ignore à peu près tout des souterrains qui pouvaient exister dans le château de 1431, l’histoire a gardé la trace de deux conduits hydrauliques passant à proximité du château, les sources Gaalor et de Notre Dame.
Les sources Gaalor et Notre Dame:
La source Gaalor émerge au pied de la colline du Mont-aux-malades. Construit entre le XIe siècle et la fin du XIIe siècle, l’aqueduc préexistait à la construction du château de Philippe Auguste.
Il est aujourd’hui certain que la source Gaalor alimentait la cuve 5 du puits situé au plus bas du donjon, un dessin de Jacques Le Lieur extrait du "Livre des fontaines" le montre clairement. La canalisation hydraulique passait au pied du donjon, de dimension suffisante pour qu’un homme s’y tienne debout.
Il est vraisemblable que la "ligne" de puits qui devait longer l’intérieur des murailles coté Est depuis les cuisines ait été en relation avec une extension du conduit Gaalor. Le débit de la source était important, de l’ordre de plusieurs centaines de m3 par jour. Après avoir servi de fontaine au château, le trop-plein de la source donnait naissance à un ruisseau, la Renelle, qui alimentait au sud les installations des tanneurs.
Un croquis sommaire du château extrait du "Livre des fontaines " (J.Le Lieur, 1525) montrait le conduit de la source Gaalor passant directement sous le donjon puis obliquant à angle droit. Le conduit Gaalor croisait alors, au large de la tour de la Pucelle, une seconde canalisation, celle de la source de Notre Dame qui sourdait au bas des fossés du château. On peut voir que ce second conduit comportait une bifurcation vers la gauche, en direction de la Tour du côté de la porte de derrière devenue Tour de la Pucelle.

Figure extraite du "Livre des Fontaines" (Jacques Le Lieur 1525.)
On voit en bas à gauche le conduit Gaalor qui passe sous le donjon pour alimenter la cuve du puits, puis il oblique à 90°sur la droite. Il croise alors, en passant dessous, la canalisation de la source Notre Dame. Après le croisement, à gauche du dessin, on aperçoit une dérivation de la source Notre Dame qui part en direction de la "porte devers les champs".
Si la tour de la Pucelle, à droite du donjon, ne paraît pas être directement "raccordée" à la source Gaalor, elle aurait pu l’être à la source Notre Dame.
Depuis le captage, plusieurs fontaines et points de puisage avaient été aménagés sur le parcours ainsi que des ouvertures dites esclères, permettant l’éclairage et l’accès aux conduits pour l’entretien.
Pour avoir une idée plus précise de ces aqueducs souterrains, on peut consulter les ouvrages et les sites Internet suivants :
- Réédition du "Livre des Fontaines" fac simile, Éditions Point de Vue.
-"Rouen insolite et secret" Jacques Tanguy , Éditions des Falaises.
- http://www.thomas-boivin.fr/2010/03/07/les-souterrains-du-chateau-legendre/
4. Histoires de souterrains!
Durant la dernière guerre mondiale, les occupants allemands utilisèrent la tour du Donjon reconstruite - qui n’est pas la Tour de la Pucelle, faut-il le rappeler - comme place forte pour y installer la prison de la sinistre "gestapo" dont le siège rouennais se situait dans la maison voisine.
L’histoire locale de la résistance, racontée par plusieurs auteurs indique que c’est par un "souterrain", que les résistants menèrent une attaque de l’intérieur du donjon et que les gestapistes encerclés par les FFI leur échappèrent.
Dans son ouvrage 6, l’historien et journaliste Maurice David-Darnac ( 1913-1983) note la fuite des allemands par un souterrain en 1944. Il fait le rapprochement avec l’évasion possible de Jeanne par le même chemin, le 30 Mai 1431, quelques instants avant son départ pour le supplice du bûcher. Il ne parle pas d’une canalisation hydraulique mais il évoque "un souterrain qui existe encore… et qui aboutit aujourd’hui au 102 de la rue Jeanne d’Arc"… et qui permettait de sortir discrètement du château en face de la Tour appelée devant les champs".
Dans un autre roman 7 largement autobiographique selon l’éditeur, Jean-Jacques Antier rappelle cet épisode de la libération de Rouen en termes sensiblement différents : "Notre attaque contre le vieux Donjon a été couronnée de succès. Louis, dit "le Pivert", et François, dit "le Pingouin", promis à une mort certaine, ont pu prendre la fuite. La Gestapo n'avait pas eu le temps de les torturer, nos amis se sont échappés sans laisser de trace, sinon des inscriptions patriotiques sur les murs gris de leur cellule, tandis que le Furet et moi, surgis comme des diables d'un souterrain du Donjon, les couvrions du tir de nos pistolets. De la sinistre maison de la Gestapo, rue du Donjon, les Allemands, surpris dans leur sommeil, dévalaient dans la rue…"
Si l’on suit cette piste d’un souterrain aboutissant au donjon, il faut avoir présent à l’esprit que Jeanne n’était pas prisonnière dans le donjon mais dans la tour de le Pucelle alors que les allemands ou les résistants auraient utilisé un souterrain débouchant dans le donjon.
Sur place, au 102 rue Jeanne d’Arc, dans la courette intérieure décorée d’un puits et d’une rocaille, l’on voit très bien les fondements de la tour, en regardant au-delà des grilles de protection, mais aucun accès direct n’est possible et de ce fait on ne peut pas voir l’entrée d’un éventuel souterrain. Par ailleurs, le puits factice ne permet pas de savoir ce qu’il y a en dessous. Selon Jacques Tanguy déjà cité pour son ouvrage "Rouen insolite et secret", il comporterait un conduit d’une dizaine de mètres descendant au plus bas de la tour.
Ces visites et observations menées sur place constituent un complément utile à la documentation existante, tout en montrant très vite leurs limites. Seules des investigations officielles menées par une autorité scientifique avec les autorisations et les moyens adaptés seraient à même d’apporter les explications attendues.
Ce constat de frustration et d’impuissance est encore plus vif pour les recherches historiques qui sont à mener dans l’église de Pulligny sur Madon. Un jour peut-être, un ou une médiéviste Directeur de recherches au CNRS osera enfin s’attaquer à la légende mystique pour la balayer, qui sait ?
5. Quel chemin Jeanne a-t-elle emprunté ce matin-là?
Revenons à l’objet de notre enquête médiévale ! Examinons les possibilités offertes par l’environnement pour soustraire Jeanne à ses bourreaux, dans l’ordre décroissant de faisabilité.
Si l’on se replace dans la situation du 30 Mai 1431, les notables anglais et leurs alliés étaient les maîtres absolus des lieux et de la dramatique partie qu’ils y orchestraient. Ils avaient tout loisir d’agir à leur guise et il est patent que Cauchon, qui avait choisi le camp anglais, agissait de connivence avec Bedford et Warwick.
1/ L’hypothèse la plus plausible et la plus facilement réalisable aurait été l’évacuation directe de Jeanne par la porte de derrière dite des Anglais, (D), une issue voisine de la tour-prison et spécialement aménagée pour des sorties discrètes. Jeanne peut avoir quitté la tour par les escaliers ordinaires ou un passage intérieur puis être conduite immédiatement au plus près, à la porte des Anglais ou alors, une variante :
1bis/ …par la sortie un peu plus au sud, la porte devers les champs (C) également proche de la tour qui avait été sa prison. Ces deux issues existaient en 1431 et elles conduisaient en rase campagne, de l’autre côté des fossés au nord et à l’ouest du château.
Dans le brouhaha qu’on imagine le 30 Mai 1431 devant la porte Sud, principale sortie par le pont levis, les cotés des champs étaient certainement assez déserts à ce moment précis. La foule et les gens d’arme devaient en effet être massés devant le pont levis de l’accès principal du château, attendant la sortie de Jeanne pour l’accompagner au supplice.
2/ Une alternative aurait été le passage dans les appartements voisins du régent et de son épouse puis une sortie différée de Jeanne par la porte des anglais. Il faut rappeler les liens qui unissaient Jeanne à sa cousine la duchesse de Bedford. Ce fut le médecin personnel de la duchesse qui soigna Jeanne lorsqu’elle tomba malade durant sa captivité.
Peut être existait-il un passage direct dans la muraille, mais à défaut il suffisait d’un parcours d’une dizaine de mètres à gauche en sortant de la tour de la Pucelle pour parvenir aux appartements.
3/ A moins que Jeanne transférée chez les Bedford n’y ait été retenue prisonnière sur place ? Une solution également facile à mettre en œuvre mais assez risquée pour le régent, en cas de découverte de la prisonnière.
Un acte du 11 Avril 1433, publié par Léopold Delisle, pourrait accréditer cette idée d’un séjour temporaire de Jeanne dans les appartements du régent. Dans ce document figure la mention de travaux exécutés "en la chambre où est de présent logié monseigneur le gouvernant régent de France, duc de Bedford : un huis et trois fenestres pour la chambre de secret de mondit seigneur le régent ; fait ung prannel 8 au degré de la chambre ou soulloit 9 estre logiée Jeanne la Pucelle".
Il y a encore le coup de main effectué par les Français, en Février 1432 sous la conduite du capitaine Ricarville, qui pourrait appuyer ce schéma, bien que la prise d’assaut du château se soit soldée par un échec sanglant.
Venus de Beauvais sur l’ordre du Maréchal de Boussac qui commandait des troupes pour Charles VII, les Français reprirent brièvement le château et l’occupèrent deux semaines avant de se rendre aux anglais. Lors de l’assaut qui eut lieu de nuit avec la complicité d’un anglais, le duc de Bedford était à Paris et le Comte d’Arondel qui faisait office de gouverneur fut pris en otage. Le comte réussit à s’échapper du château dans un panier accroché à un cordage.
Assiégés, privés de leur monnaie d’échange, les Français se réfugièrent dans le donjon. Après quinze jours de bombardement du donjon et une mauvaise coordination avec les troupes du maréchal de Boussac, les français finirent par se rendre. Les Anglais ne firent aucun quartier : Ricarville fut tué sur place et tous les participants français furent décapités, place du vieux Marché 10.
Peut être les Français de Ricarville savaient-ils que Jeanne était détenue au Château de Rouen et cherchaient à la délivrer ? On peut alors imaginer que Bedford, prévenu d’une attaque ait décidé de quitter le château pour Paris en emmenant Jeanne, mais il s’agit de spéculation, faute d’écrits sur ces faits.
Le départ immédiat de Jeanne le 30 Mai au matin pour une prison anglaise reste a priori l’option privilégiée qui offrait le plus de sécurité pour Bedford.
4/ Une autre solution un peu plus aventureuse aurait été le départ depuis un souterrain existant qui aurait conduit directement de la tour de la Pucelle vers l’extérieur du château, tel que l’a écrit M. David- Darnac.
L’existence d’un puits au bas de la tour de la Pucelle paraît avérée, mais aucune information disponible ne permet d’accréditer l’existence d’un souterrain. Supposons qu’il ait existé : il fallait que Jeanne parcoure quelques centaines de mètres depuis les fonds de la tour de la Pucelle jusqu’à une sortie hors du château en compagnie de ses gardiens, à la lumière des torches portées par ses accompagnateurs. Très romanesque mais plausible !
On notera quand même que l’année suivante, en 1432 le capitaine Ricarville et les combattants Français assiégés dans le donjon du château n’ont eu aucun conduit à leur disposition pour s’échapper, ce qui ne plaide pas en faveur d’une évasion souterraine.
5/ Une solution alternative au souterrain est celle du puits qui devait exister dans la tour de la Pucelle. Le dessin de J Le Lieur (1525) laisse supposer un raccordement préférentiel de la tour de la Pucelle à l’aqueduc de Notre Dame. Le texte indique que les deux aqueducs Gaalor et N.D, superposés au large des fossés du château ne communiquaient pas ! Ajouter du mystère au récit mystique construit par les légendistes ne va pas nous aider dans notre recherche du rationnel. Enfin, imaginons le scénario ! Il fallait descendre directement par une échelle disposée dans le puits, parcourir environ 60 mètres dans la dérivation qui alimentait le puits jusqu’au plus bas du donjon et remonter par une autre échelle disposée dans l’autre puits, celui du donjon, un parcours inverse à celui supposé des gestapistes de 1944…et arrivée là, Jeanne n’avait pas encore quitté le château !!! Pour que ce scénario soit crédible, il fallait que Jeanne et ses gardes avancent vers le Nord-Est en direction du point de captage de la source impliquée, ou à l’opposé, vers une esclère disposée devers les champs, sur une branche Sud Ouest de l’un des conduits. Ces deux parcours un peu rocambolesques, les pieds dans l’eau, n’auraient certainement pas présenté de difficulté physique pour la vaillante Jeanne, mais ils constituaient des exercices risqués et inutilement aventureux !
6/ Pourquoi pas cette autre solution, simple à mettre en œuvre et toute en finesse ? Jeanne a été extraite de sa prison par Cauchon quelques instants avant sa prise en charge par les bourreaux et emmenée dans une pièce voisine.
Elle y aurait été tenue cachée, le temps que la malheureuse figurante prenne sa place, droguée et "embronchée" comme l’attestent les témoins, c'est-à-dire quasi inconsciente, muette, encapuchonnée et non identifiable. Dans l’excitation de la populace tournée vers le chariot conduisant la martyre anonyme à son supplice, Jeanne dissimulée et ses gardiens pouvaient sortir par la grande porte largement ouverte pour l’occasion en "profitant" du carrosse d’un notable du château pour quitter l’endroit sous escorte. Pourquoi pas celui de Cauchon lui-même, disponible puisque sa "qualité" de juge religieux lui interdisait d’assister à l’exécution ?
De la plus sûre à la plus osée, le choix de l’évasion contrainte était large, et d’autres options non citées devaient exister.
6. "Pucelle ma mie, vous, soyez la très bien revenue!" 11
C’est à partir de cet ultime moment, au matin du 30 Mai 1431 que l’on perd la trace de Jeanne jusqu’à la fin de son "absentement" qui durera cinq ans.
Le château-prison du Crotoy dans la Somme pourrait être le lieu où Jeanne a été retenue en captivité, mais l’endroit est encore l’objet de controverses.
Peu après la mort du duc de Bedford et le rapprochement entre Armagnacs et Bourguignons, scellé par le traité d’Arras le 20 Septembre 1435, Jeanne fera son retour à la vie publique et mondaine. Au printemps 1436, elle réapparaîtra prudemment sous le nom de Claude , puis de Jehanne la Pucelle et enfin après son mariage en Septembre 1436 avec le chevalier Robert des Armoises, de Jehanne du Lis, Pucelle de France.
A sa mort à 42 ans, le 4 Mai 1449, Jeanne fut inhumée dans l’église de Pulligny, (Meurthe et Moselle) dans une chapelle située à droite du chœur selon son vœu. Insérée dans le sol de la petite chapelle à la clé de voûte décorée du blason princier "du Lis" attribué à Jeanne par Charles VII, la pierre tombale de Jeanne portait inscrit :
"Ci gît haulte et Honorée Dame Jehanne du Lis la Pucelle de France Dame de Tichémont
qui fut fème du Noble Home messire Robert des Armoises, Chevalier, Seigneur du dit lieu
Laquelle Trépassa an l’an Mil CCCC XXXX et VIIII le 4 jour de May
Dieu ait son âme
Amen"
30 octobre 2011
________________________________
notes
1 On ne saura certainement jamais qui, des Anglais ou des juges de l’église eurent l’idée de ce constat de relapse afin de déjouer la manœuvre de l’évêque et faire condamner Jeanne à mort. Mais contrairement aux idées reçues, il semble bien que ce soit Pierre Cauchon lui-même qui sut trouver la parade qui sauva Jeanne. >> retour au texte
2 Prononcé par l’un des juges Jean Massieu. >> retour au texte
3 Embronchée : méconnaissable, la tête cachée, le visage masqué … >> retour au texte
4 La tour-prison de Jeanne est ainsi nommée dans les minutes du "procès en nullité" de 1456 >> retour au texte
5 L’eau de la source, "courante" par définition, était accumulée dans une cuve maçonnée au bas du puits. >> retour au texte
6 "Histoire véridique et merveilleuse de la Pucelle l’Orléans". Maurice David-Darnac. Éditions La table Ronde, 1965. (P 256) >> retour au texte
7 "La fille du carillonneur" de Jean Jacques Antier (Presses de la Cité) >> retour au texte
8 Prannel : protection, garde-fou. >> retour au texte
9 Soulloit : du verbe souloir, avoir l’habitude, avoir coutume de... >> retour au texte
10 Dans le livre "Rouen et les rouennais au temps de Jeanne d’Arc" (Ed PTC Rouen) , Lucien René Delsalle rapporte l’échec du coup de main de Ricarville >> retour au texte
11 Phrase de "retrouvailles" prononcée par Charles VII lors de sa rencontre avec Jeanne qui séjournait à Orléans à la fin de l’été 1439. La rencontre eut lieu en présence de plusieurs hauts dignitaires qui connaissaient tous Jeanne, dont son demi-frère et compagnon d’armes Jean d’Orléans dit le Dunois. >> retour au texte
________________________________
Lire aussi: "Le souterrain de Rouen"

Les secrets de Jeanne
